Quá trình ấn định tuyến đường bao gồm sử dụng các phương pháp sau:
Phương pháp 1: Tất cả hoặc không có gì.
Hầu hết hành trình được chỉ định cho những tuyến tuyến đường ngắn nhất.

Hình 4.7 Tất cả hoặc không có gì ( All or nothing)
Phương pháp 2: Phương pháp cân bằng, phương pháp này bao gồm các bước sau:
1. Áp dụng một phương pháp 1 (tất cả hoặc không có gì).
2. Tính toán thời gian hành trình mới (liên quan đến lưu lượng và ách tắc giao thông)
3. Tính toán lại hành trình ngắn nhất với sự tăng trưởng giao thông
4. Kiểm tra lại tất cả các tuyến xem có thời gian đi lại là tương đương hay không, nếu không, lặp lại bước 1, ngược lại, kết thúc quá trình.
4.1.4 Các dự án, nghiên cứu áp dụng phần mềm Cube Citilabs ở Việt Nam.
- Giai đoạn 3 trong nghiên cứu của HOUTRANS:
Phần mền Cube được sử dụng trong giai đoạn 3 trong nghiên cứu HOUTRANS để mở rộng mô hình tính toán. Trong đó bao gồm phân chia chuyến đi theo mục đích, sở hữu phương tiện cá nhân, sở hữu phương tiện gia đình… Với việc phân chia nhỏ mô hình sẽ dễ dàng nghiên cứu sâu các yếu tố tác động và nhằm điều chỉnh từng hệ số cho phù hợp.

Hình 4.8 Giai đoạn 3 của HOUTRANS sử dụng CUBE/Voyager
Nguồn: Báo cáo HOUTRANS
-Tuyến Metro số 2:
Năm 2008, MVA đã sử dụng phần mền này để tính toán lưu lượng hành khách và doanh thu Tuyến Metro số 2 thực hiện cho Ngân hàng Phát triển Châu Á ( ADB). Ngoài ra, báo cáo này cũng đã được tham khảo để tính toán lưu lượng hành khách đi metro của Tuyến số 5.
Tuyến số 2 với tổng chiều dài 13,3 km, trong đó 10,4 km đi ngầm và 2,9 km đi trên cao. Xuất phát từ ga trung tâm Bến Thành, đường metro sẽ đi qua Ngã Sáu Phù Đổng, dọc theo suốt đường Cách mạng Tháng 8, tiếp nối theo đường Trường Chinh và kết thúc tại Bến xe An Sương. Với giả định các tuyến Metro được hoàn thiện thì lưu lượng hành khách đi metro vào năm 2025 của Tp Hồ Chí Minh như hình 4.9:
Hình 4.9 Lưu lượng hành khách đi Metro vào năm 2025
Nguồn: Dự báo lưu lượng hành khách và doanh thu Tuyến metro số 2- MVA
Ngoài ra mô hình dự báo của Cube cũng đang được áp dụng trong rất nhiều các dự án nhỏ lẻ khác. Mô hình cũng đã thể hiện tính ưu việt so với các phần mềm dự báo khác về tính linh hoạt, tùy biến và dễ sử dụng. Tùy thuộc vào thuật toán được áp dụng, mô hình có thể thay đổi và được điều chỉnh để đưa ra kết quả phù hợp nhất. …
4.2 Dự báo lưu lượng giao thông Quận 3- Tp. Hồ Chí Minh
4.2.1 Các bước tiến hành dự báo.
4.2.1.1 Phân vùng giao thông( Chia Zone)
Phân vùng giao thông được chia thành 2 khu vực: khu vực nội vùng (TAZ) và khu vực ngoại vùng ( ExternalTAZ).
Khu vực nội vùng (TAZ) nằm trong Quận 3. Dựa trên số liệu cuộc khảo sát hộ gia đình (Household) khu vực nội vùng gồm 14 phường được chia thành 11 Zone. Việc phân chia các Zone theo ranh giới các phường sẽ tận dụng được các số liệu về dân số, số HSSV, số Lao động, các điều kiện về kinh tế, điêu kiện tự nhiên
của mỗi phường. Các số liệu này sẽ được sử dụng cho các bước tiếp theo trong mô hình dự báo.
Bảng 4.1 Khu vực nội vùng ( TAZ )
Khu vực | |
1 | Phường 1 |
2 | Phường 2 và 3 |
3 | Phường 4 |
4 | Phường 5 |
5 | Phường 6 |
6 | Phường 7 |
7 | Phường 8 |
8 | Phường 9 |
9 | Phường 10 và 11 |
10 | Phường 12 và 13 |
11 | Phường 14 |
Có thể bạn quan tâm!
-
Tỷ Lệ Đảm Nhận Phương Thức Theo Mục Đích Chuyến Đi Hbw, Hbs, Hbo, Nhb -
Mô Hình Dự Báo Nhu Cầu Giao Thông 4 Bước -
Quy Trình, Dự Báo Phân Tích Nhu Cầu Đi Lại Theo Mô Hình 4 Bước -
Xây Dựng Mạng Lưới Đường Ngoại Vùng (Đường Kết Nối) -
I (Internal – Internal) Là Chuyến Đi Nội Vùng, Điểm Đi Và Điểm Đến Của Hành Trình Đều Nằm Trong Nội Vùng Khảo Sát. -
Mô Hình Phân Bố Chuyến Đi - Các Hằng Số Hiệu Chuẩn
Xem toàn bộ 172 trang tài liệu này.

Hình 4.10 Khu vực nội vùng ( TAZ )
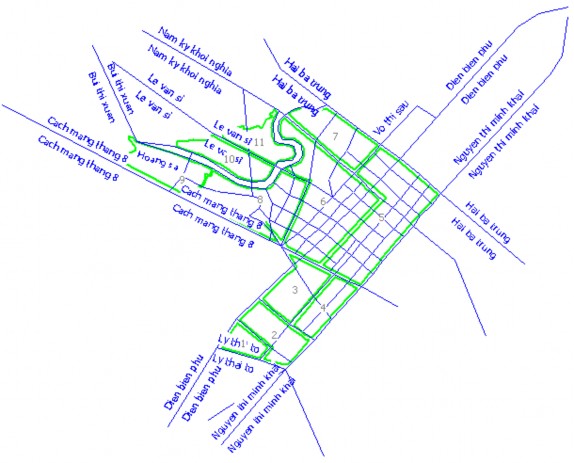
Khu vực ngoại vùng (ExternalTAZ) bao gồm các quận, huyện trong thành phố Hồ Chí Minh (gồm 23 quận, huyện ngoại trừ Quận 3). Trong đồ án để thuận tiện cho quá trình tính toán các quận huyện được chia thành 4 Zone dựa trên hướng kết nối vào các trục đường chính. Hướng Bắc kết nối vào đường Cách mạng tháng 8, Bùi thị xuân, Lê văn sĩ, Nam kỳ khởi nghĩa, Hai bà trưng. Hướng Tây kết nối vào Điện biên phủ, Nguyễn thị minh khai. Hướng Nam kết nối vào đường Cách mạng tháng 8, Nam kỳ khởi nghĩa, hai bà trưng. Hướng Đông kết nối vào đường Điện biên phủ và Nguyễn thị minh khai. Việc phân chia các ExternalTAZ theo ranh giới các Quận sẽ tận dụng được các số liệu về Tổng số chuyến đi phát sinh, thu hút của mỗi Quận (theo “Điều chỉnh Quy hoạch tổng thể phát triển GTVT Tp.HCM đến năm 2020 và tầm nhìn sau năm 2020”). Các số liệu này sẽ được sử dụng cho các bước tiếp theo trong mô hình dự báo.
Bảng 4.2 Khu vực ngoại vùng (ExternalTAZ)
Khu vực | |
12 | Tân Bình, Gò Vấp, Quận 12, Hóc Môn, Củ Chi, Tân Phú, Phú Nhuận |
13 | Bình Chánh, Bình Tân, Quận 10, Quận 11, Quận 6, Quận 5, Quận 8 |
14 | Quận 1, Quận 4, Quận 7, Nhà Bè, Cần Giờ |
15 | Quận 2, Quận 9, Bình Thạnh, Thủ Đức |

Hình 4.11 Khu vực ngoại vùng (ExternalTAZ)
4.2.1.2 Xây dựng và phác thảo mạng lưới ( Network & Highway )
a. Xây dựng mạng lưới đường (Network)
Mạng lưới đường nội vùng: Được xây dựng dựa vào dữ liệu về các tuyến đường nội vùng như: Tên tuyến đường, Điểm đầu, Điểm cuối, Bề rộng đường, Khả năng thông hành, Vận tốc lưu thông.

Hình4.12 Xây dựng mạng lưới đường nội vùng

Hình 4.13 Các thuộc tính của tuyến đường
Bảng 4.3 Các thuộc tính của tuyến đường
Tên đường | Điểm đầu | Điểm cuối | Chiều dài đường | Chiều rộng mặt đường | Số làn xe | Vận tốc khảo sát | Hướng đi | Ghi chú | KNTH (xe con/h) | |
(m) | (m) | |||||||||
33 | 39,988.70 | |||||||||
1 | Bà Huyện Thanh Quan | Nguyễn Thị Minh Khai | Kỳ Đồng | 1,243.00 | 8 | 2.5 | 29 | 1 | Khảo sát | 3200 |
Kỳ Đồng | Rạch Bùng Binh | 178 | 12 | 4 | 29.5 | 1 | Khảo sát | 5120 | ||
2 | Cách Mạng Tháng 8 | Nguyễn Thị Minh Khai | Công Trường Dân Chủ | 929 | 13 | 4 | 28.8 | 2 | Khảo sát | 2880 |
3 | Cao Thắng | Nguyễn Thị Minh Khai | Điện Biên Phủ | 755 | 10 | 3 | 33 | 2 | Khảo sát | 2160 |
4 | Công Trường Dân Chủ | Cách Mạng Tháng 8-3 Tháng 2-Lý Chính Thắng- Vò Thị Sáu | Nguyễn Thượng Hiền | 188 | 25 | |||||
5 | Công Trường Quốc Tế | Vò Văn Tần-Trần Cao Vân | Phạm Ngọc Thạch | 320 | 18 | |||||
(Ct Chiến Sỹ Cũ) | ||||||||||
6 | Điện Biên Phủ | Hai Bà Trưng | Vòng xoay Ngã 7 | 2,936.00 | 12 | 3 | 31.9 | 1 | Khảo sát | 3840 |
7 | Hồ Xuân Hương | Trương Định | Cách Mạng Tháng 8 | 445 | 6.5 | 2 | 27.5 | 2 | Giả định V | 2240 | ||
8 | Kỳ Đồng | Trần Quốc Thảo | Bà Huyện Thanh Quan | 394 | 12 | 3.5 | 29 | 2 | Khảo sát | 2240 | ||
Bà Huyện Thanh Quan | Nguyễn Thông | 178 | 7.5 | 2 | 27.5 | 2 | Khảo sát | 2240 | ||||
9 | Lê Quí Đôn | Nguyễn Thị Minh Khai | Vò Thị Sáu | 879 | 8 | 2 | 27.5 | 2 | Giả định V | 1280 | ||
10 | Lê Văn Sỹ | Cầu Lê Văn Sỹ | Ranh Phú Nhuận | 886 | 12 | 4 | 29.5 | 2 | Khảo sát | 2880 | ||
11 | Lý Chính Thắng | Hai Bà Trưng | Công Trường Dân Chủ | 1,847.00 | 10 | 3 | 30.5 | 1 ( 2 chiều từ Ngã 6 Dân chủ → Nguyễn Thông ) | Khảo sát | 4320(2160) | ||
12 | Nam Kỳ Khởi Nghĩa | Nguyễn Thị Minh Khai | Điện Biên Phủ | 557.5 | 11.5 | 3 | 32.5 | 1 | Khảo sát | 3840 | ||
Điện Biên Phủ | Vò Thị Sáu | 285 | 27 | 6 | 34.6 | 2 | Khảo sát | 4320 | ||||
Vò Thị Sáu | Cầu Công Lý | 929.4 | 21 | 6 | 34.6 | 2 | Khảo sát | 4320 | ||||
13 | Nguyễn Đình Chiểu | Hai Bà Trưng | Lý Thái Tổ | 2,786.00 | 10 | 3 | 28.5 | 1 ( 2 chiều từ Cao Thắng → Lý Thái Tổ ) | Khảo sát | 3840(1920) | ||
14 | Nguyễn Phúc Nguyên | Vòng Xoay Công trường Dân Chủ | Ga Sài Gòn | 540 | 7.5 | 2 | 27.5 | 2 | Khảo sát | 2240 | ||
15 | Nguyễn Thị Minh Khai | Lý Thái Tổ | Huyền Trân Công Chuá | 1,771.00 | 15 | 4 | 32.5 | 2 | Khảo sát | 2880 | ||
Huyền Trân Công Chúa | Nam Kỳ Khởi Nghĩa | 315 | 10.5 | 3 | 30.5 | 1 | Khảo sát | 3840 | ||||
Nam Kỳ Khởi Nghĩa | Hai Bà Trưng | 487 | 9 | 3 | 30.5 | 1 | Khảo sát | 3840 | ||||
16 | Nguyễn Thiện Thuật | Nguyễn Thị Minh Khai | Điện Biên Phủ | 780 | 10 | 3 | 28.5 | 2 | Giả định V | 1920 | ||
17 | Nguyễn Thông | Hồ Xuân Hương | Trần Văn Đang | 1,122.00 | 8 | 2 | 27.5 | 2 | Khảo sát | 2240 | ||
18 | Nguyễn Thượng Hiền | Nguyễn Thị Minh Khai | Điện Biên Phủ | 777 | 7 | 2 | 27.5 | 2 | Khảo sát | 2240 | ||
Điện Biên Phủ | Vòng xoay Công truờng dân chủ | 203 | 10 | 3 | 28.8 | 2 | Khảo sát | 2160 | ||||






